ELATERIDAE
VYHLEDAT
Čeleď
Podčeleď Rod Druh Lokalita Upřesnit+
VIRTUÁLNÍ SBÍRKA
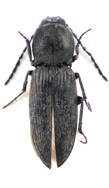
Cardiophorus podlussanyi
předešlý předešlý  další     další
 
Rod: Cardiophorus
Druh: podlussanyi  Type
Podčeleď: Cardiophorinae
Čeleď: Elateridae
Autor: Németh et Platia, 2014
Délka těla: 6,6-7,7 mm 
Pohlaví: samec
Rozšíření:
Lokalita:
TURKEY, Manisa: Soma, 1990. IV.21. leg. Podlussány
Určení (determinace): Németh et Platia
Sbírka: HNHM Budapest
 
Cardiophorus podlussanyi Cardiophorus podlussanyi
 

TOPlist