ELATERIDAE
VYHLEDAT
Čeleď
Podčeleď Rod Druh Lokalita Upřesnit+
VIRTUÁLNÍ SBÍRKA
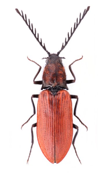
Anostirus dalmatinus
předešlý předešlý  další     další
 
Rod: Anostirus
Druh: dalmatinus
Podčeleď: Dendrometrinae
Čeleď: Elateridae
Autor: (J. Müller, 1925)
Délka těla: 9 mm 
Pohlaví: samec
Rozšíření: Croatia, Bosnia-Herzegovina, Montenegro, Albania
Lokalita:
Bosnia-Herzegovina, trail from the Planinarsko sklonište Bunarič-Miličič to Kamešnica peak, 1852m, 7.5.2025, T. Gazurek leg.
Určení (determinace): J. Mertlik
Sbírka: G. Platia
 
Anostirus dalmatinus Anostirus dalmatinus Anostirus dalmatinus
 

TOPlist