ELATERIDAE Úvodní stránka
ELATERIDARIUM Časopis
MENU
O NÁS
ODKAZY
KE STAŽENÍ
Diskuze entomologové a ochranáři
ČLÁNKY
FAUNISTICKÉ MAPOVÁNÍ ČR a SR
KATALOGY
LITERATURA
ŽÁDOSTI
ELATER o.s.
FOTOGALERIE
VIRTUÁLNÍ SBÍRKA
EXOTIKA
LOKALITY
VYHLEDAT
TAXON. STROM
Čeleď
= Vše =
Cerophytidae
Elateridae
Eucnemidae
Throscidae
Podčeleď
= Vše =
Agrypninae
Cardiophorinae
Cerophytinae
Dendrometrinae
Elaterinae
Eucneminae
Hypnoidinae
Lisominae
Macraulacinae
Melanotinae
Melasinae
Negastriinae
Oxynopterinae
Physodactilinae
Pitiobinae
Plastocerinae
Throscinae
Rod
= Vše =
Abelater
Actenicerus
Adelocera
Adrastus
Aeoloderma
Aeoloides
Aeolosomus
Agonischius
Agraeus
Agriotes
Agrypnus
Alestrus
Amamipenthes
Ampedus
Anostirus
Aplotarsus
Arctapila
Ascoliocerus
Astanchus
Athous
Athousius
Aulonothroscus
Berninelsonius
Betarmon
Bioxylus
Borowiecianus
Brachygonus
Brancuccia
Calais
Calambus
Campsosternus
Campylomimus
Campylomorphus
Cardiohypnus
Cardiophorus
Cardiotarsus
Cerophytum
Chatanayus
Chinathous
Cidnopus
Colaulon
Conoderus
Coptostethus
Corymbitodes
Craspedostethus
Crepidophorus
Cryptalaus
Csikia
Ctenicera
Ctenoplus
Dalopius
Danosoma
Denticollis
Denticolloides
Diacanthous
Dicronychus
Dima
Dirrhagofarsus
Dirrhagus
Dolinolus
Drapetes
Drasterius
Dromaeolus
Eanus
Ectamenogonus
Ectinus
Elater
Elathous
Eucnemis
Farsus
Fleutiauxellus
Friedrichiellus
Gamepenthes
Ganoxanthus
Girardelater
Glyphonyx
Gnathodicrus
Gurjevelater
Harminius
Hartenius
Haterumelater
Hemicrepidius
Heteroderes
Homotechnes
Hylis
Hypnoidus
Hypoganomorphus
Hypoganus
Hypolithus
Idolus
Idotarmonides
Ischnodes
Isidus
Isorhipis
Lacon
Lanecarus
Lanelater
Leptinostethus
Ligmargus
Limoniscus
Limonius
Liotrichus
Ludigenus
Ludioschema
Margaiostus
Martiniana
Megapenthes
Megathous
Melanotus
Melanoxanthus
Melasis
Metanomus
Metriaulacus
Microrhagus
Miwacrepidius
Monocrepidius
Mosotalesus
Mucromorphus
Mulsanteus
Negastrius
Nematodes
Neoathousius
Neocardiophorus
Neocsikia
Neodima
Neopristilophus
Nipponoelater
Nothodes
Odontoderus
Oedostethus
Orithales
Otho
Oxynopterus
Paracalais
Paracardiophorus
Parapenia
Paraphotistus
Pectocera
Penia
Peripontius
Pheletes
Phorocardius
Pittonotus
Platiana
Platycrepidius
Pleonomus
Podeonius
Poemnites
Porthmidius
Priopus
Pristilopus
Procraerus
Propsephus
Prosternon
Proxylobius
Pseudanostirus
Pseudathous
Pseudocrepidophorus
Pseudocsikia
Quasimus
Rainerus
Rhacopus
Roznerathous
Ryukyucardiophorus
Sawadapenthes
Schimelinus
Scutellathous
Selatapteria
Selatosomus
Senodonia
Sericus
Sichuanelater
Silesis
Simodactylus
Sinelater
Sinophotistus
Solskyana
Spheniscosomus
Stenagostus
Synaptus
Tarnawskianus
Tetrigus
Thambus
Tinecus
Tolphorea
Toxognathus
Trixagus
Tropihypnus
Vuilletus
Warchalowskianus
Xanthopenthes
Xylobius
Xylophilus
Yukara
Zorochros
Druh
= Vše =
abkhazianus
abruptus
abscondita
acuminatus
acuticornis
adlbaueri
admirabilis
adrastoides
aegypticus
aemulus
aeneocollis
aeneomicans
aeneoniger
aenescens
aeneus
aenigmatosus
aequalis
aeratus
aeruginosus
aetnensis
affinis
afganicus
afonini
agajevi
agajewi
agilis
agnata
agnatus
agrillaceus
ainu
alatus
alcantarensis
alcarazensis
alekseevi
alexandri
algirinus
alienus
altaicus
alternatus
alticola
altus
alysidotus
ambiguus
ambrusi
ampliatus
amplicollis
analis
anatolicus
andamanensis
angelinii
angulifrons
angusticollis
angustulus
annamensis
annapurnica
anomalus
anquis
antennalis
anticus
antoniae
apfelbecki
apicalis
apicatus
apterus
aquilus
aranyos
araxicola
arcanus
arenicola
argentipilis
argiolus
arimotoi
armeniacus
artvinensis
asellus
asper
assamensis
assingi
asturiensis
aterrimus
atramentarius
atratus
atricapillus
atripes
atropilosus
attenuatus
attilai
auberti
audisioi
audoini
augustus
auratus
auripes
auronebulosus
ausobskyi
austriacus
axillaris
badchysicus
baerii
bagdadensis
baishuiensis
bajulus
balcanicus
balchanensis
balearicus
balikesirensis
balteatus
barbatus
barlaensis
barnabita
barriesi
basalis
basumensis
baumi
beauchenei
beckeri
becvari
bellus
benedikti
benesi
berrai
bertrandi
beysehiricus
bezdeki
bhaktai
bicarinatus
bicolor
biformis
biguttatus
biimpressus
bilyi
bimaculatus
bimargo
binaghii
binodulus
bipunctatus
bipustulatus
bisbimaculatus
bispicatus
blandus
bocakorum
boeberi
bogatschevi
bohemicus
bologhi
bonnairei
bonomii
borealis
bosnica
boubersi
bouyoni
bozdagensis
brachati
brancuccii
brelihi
brendelli
brevicollis
brevilineatus
brevipennis
brevis
brezinai
brisouti
brucki
bruleriei
brullei
brunneus
brunnicornis
brunnipennis
brunnipes
buci
buettikeri
buprestoides
burakovskii
burkus
burmasiamensis
burmensis
businskyi
buyssoni
caeruleus
callegarii
campadellii
canaliculatus
candezei
canus
captiosus
capucina
carbonarius
cardinalis
carinata
carinatissimus
cariniceps
carinifrons
carmelensis
carnosus
carpatophilus
caspicus
castaneus
castanipes
catei
cateianus
caucassicus
cavazzutii
caviformis
cavifrons
cavulus
cerrutii
cervenkai
chengdeus
chotarea
chrysocomum
cinctipennis
cinctus
cinerascens
cinereus
cinnaberinus
circassicus
circassiensis
clarus
clausi
cobosi
coenobita
cognatus
colacurcioi
collaris
communis
concavifrons
confluens
confusus
conicipennis
consobrinus
conspersa
coolsi
cordalis
cordialis
cordicollis
cordiformis
cordubensis
coreanus
corpusculus
correctus
corticalis
corymbitoides
costalis
costicollis
crassicollis
crassipes
crassus
crennicollis
cribrithorax
cruciatus
crucifer
csikii
cuneiformis
cuprea
curtus
cyanicollis
cyanipennis
cyaniventris
cyprius
daccordii
dahuricus
daimio
dajuensis
dalaoshanensis
dalmatinus
danieli
danilevskyi
dasycerus
dauricus
davidiani
davidsoni
deceptus
decoroides
decorus
dejeani
delagrangei
demaisoni
dembickyi
dembyckyi
deminutus
denisovae
dentatus
depressicollis
depressus
deqenensis
dequenensis
dermestoides
desbrochersi
dhofarensis
dichrous
dicronychoides
difformis
dificilis
dilaticornis
dilutiangulus
dilutus
diluvii
dima
dimidiatipennis
diqingensis
discicollis
divaricatus
doderoi
dohrni
dolini
dolosus
dongchuanensis
drusa
drymogenes
dubius
dusaneki
dux
ebeninus
ecarinatus
ecorculatus
ekaterinae
elaps
elateroides
elegans
elegantissimus
elegantulus
eleonorae
ellipticus
elongatulus
emaciatus
emeiensis
emeishanensis
emgei
emyi
epirus
equiseti
equisetioides
erebus
erichsoni
ernesti
erythrogonus
eryx
eschscholtzi
escorialensis
euxinus
evae
excavatus
exilis
expolitus
fabiani
fairmairei
fasciatum
fausti
ferreroi
ferrugineipennis
ferrugineus
ferruginosus
figuratus
filicollis
filiformis
filum
flabellatus
flavea
flavescens
flavipennis
flavipes
fleutiauxi
fluviatilis
fodorjenoi
formosus
forticornis
fouqueorum
foveicollis
foveolata
foveolatus
fragariae
fragilloides
fraseri
frater
fraterculus
freidbergi
frequens
freudei
frigidus
frivaldszkyi
frontalis
fujianensis
fujisanus
fulva
fulvago
fulvipes
fulvus
funebris
furlani
fusciceps
gabilloti
gagatinus
galiberti
gallagheri
gallicus
galloi
ganglbaueri
gansuensis
gauchoana
gebleri
gelineki
geminus
georgioui
ghilarovi
gibbosus
gillerforsi
glasunovi
globicollis
gloriosus
gnatodicrus
gobius
gottwaldi
gougeleti
gracacensis
gracilicollis
graciliformis
gracilis
graecus
gramineus
grandis
graniger
gratiosus
grisescens
grosseri
guangdongensis
gudenzii
guizhouensis
gurgistanus
gurjevae
guttatus
habashanensis
haemapterus
haematosomus
haemorrhoidalis
hainanensis
hajeki
hamirensis
harmandi
harmodius
hauseri
hayekae
hebeiensis
hedini
helferi
hellenicus
helleri
henanensis
hengduanensis
herbigradus
hercegovinensis
heydeni
heyeri
heyrovskyi
hiekei
hiemalis
hilfi
himalayanus
himalayensis
hirculus
hirta
hirticollis
hirticornis
hirtus
hispanicus
hissaricus
hjorti
holtzi
holzschuhi
homalisinus
hongkongensis
hongsaliensis
hopei
horaki
houschkai
hubeiensis
humeralis
hunanensis
hyperboreus
hyrcanicus
iablokoffi
ibericus
ignotus
ilniczkyi
imitator
imitatus
imperceptus
impressiventris
impressus
incanus
incurvus
indica
indicus
indosinensis
ineptus
infimusius
infimuus
infirmus
informis
infuscatus
ingridae
inornata
insidiosus
insignis
insitivus
insolitus
integricollis
intercivitates
intermedius
interpositus
inunctus
involucer
ipohensis
iranicus
iristonicus
isabellae
istvani
jacobsoni
jajlensis
jakupicicola
janatai
janmari
jarmilae
jasoni
jeffreyi
jejunus
jendeki
jermolenkoi
jiangi
jiuzhaigonensis
jizuensis
jucundus
judicariensis
juizhaigouensis
jurciceki
jureceki
kabakovi
kabateki
kadleci
kalabi
kalabzai
kandaharensis
kangdingensis
kangwonensis
kapleri
karabachensis
karolyvigi
karpathicus
karsantianus
kasovskyi
kaszabi
katalinbodorae
kaulbacki
ketambensis
kiesenwetteri
kindermani
kirghizicus
klapperichi
klausnitzeri
klimenkoi
knieperti
kobachidzei
koltzei
kolymensis
kopeckyi
kopetdagensis
korsosi
kourili
kovancii
kozloffi
kraatzi
krali
kresli
kryshtali
kryzhanovskyi
kubani
kucerai
kugitangi
kukunoori
kukunori
kumingensis
kundratai
kurdicus
kurilensis
kuschkensis
kuzaschvilii
kyliesi
lacertosus
lacteus
lacustris
ladae
laevicollis
laevistriatus
langtangensis
languidus
lansbergeri
larseni
lassallei
laszlopappi
lateralis
lateritius
laticollis
laticornis
latissimus
latiusculus
lauianus
lebenbaueri
lebischi
lederi
leileri
leinfesti
lepidopterus
lepidus
lepontinus
leseigneuri
leuthneri
levis
lewisi
lgockii
ligneus
lijangensis
lijiangensis
lijingkei
liliputanus
limbatus
linearis
lineatus
lineiformis
lishanensis
litigiosus
lizleri
lizlerwerneri
loebli
logvinenkoae
lomnickii
longicornis
longissimus
longulus
longus
longvinenkoae
lopatini
lopezcoloni
lucangensis
lucbaueri
luctuosus
lugens
lundbergi
lushanensis
lusitanicus
lusitanus
maccapanii
macedonicus
maceki
macroderes
maculatus
maculicollis
maculipennis
magnanii
maiko
makedonica
makedonicus
makrisi
malayanus
maleki
mamajevi
mamillanus
mandibularis
mantici
margheritae
marginalis
marginatus
marginellus
marginicollis
maritimus
marmottani
marocanus
maroccanus
martini
marvani
masoae
medvedevi
megathorax
megerlei
meghalayanus
mekrani
melampus
melanarius
melancholicus
melanocephalus
melanotoides
melanurus
melas
melasoides
mendeli
menetriesi
merapienus
meratensis
meridionalis
merkli
mertliki
mesasiaticus
mesmini
messorbius
meticulosus
michajlovi
mikyskai
milleri
mingrellicus
minidiversus
minuta
minutissimus
minutulus
mirificus
miwai
miyamotoi
modestus
modiglianii
mohouti
mollis
mongolicus
monguzzii
monilicornis
montandoni
montanus
montenegroensis
montivagus
montserratensis
moraveci
mordelloides
moreli
morobensis
mortuus
motschulskyi
moxiensis
mucronatus
murenus
murinus
musculus
mutilatus
mutilus
mystagogus
nadaii
nadari
nadezhdae
nadoraz
nanus
narci
narynensis
naseri
nathalieae
necessa
neimongolicus
nemoralis
neoarnoldii
nepalensis
nerii
neuberti
niehuisi
niger
nigerrimus
nigratissimus
nigricans
nigriceps
nigricollis
nigricornis
nigrinus
nigritulus
nigroaeneus
nigrocyaneus
nigroflavus
nigropunctatus
nigror
nijazi
nikodymi
niponicus
nitidicollis
nitidus
notabilis
notodonta
novakorum
nubilosus
nuceus
numerosus
numida
nyinatriensis
oberthueri
obesus
obiensis
obliteratus
oblongicollis
obscuripennis
obscuroaeneus
obscurus
obsoletus
obtusus
occidentalis
occupator
ochrinulus
ochropterus
ohisai
olbiensis
olexai
olivieri
olympica
omanensis
omissus
opacicollis
opacus
orchymonti
ordinarius
ordubadensis
orodromus
oromii
osellai
osipovi
ottomerkli
ovipennis
oxypterus
pacholatkoi
paganettii
pakistanica
palawanensis
pallens
pallida
pallidulus
pallidus
pallipes
paludum
panellai
paradoxus
parallelicollis
parallelocollis
parallelus
parnonensis
parreysii
parumcostatus
parvulus
parvus
passerculus
patricius
paulinoi
paulusi
pavesii
pecirkai
pecirkanus
pecoudi
pectinicornis
pectoralis
pektusanicus
pellae
percicus
peregrinus
perezarcasi
permodicus
perniger
perrisi
perroti
persicus
persimilis
personatus
petrae
petrenkoi
petronelae
pfefferi
pharaonum
phongsalyana
piceus
pici
picinus
picipennis
picticollis
pilicornis
piloselloides
pilosellus
pilosus
pindosensis
plagifer
plagipennis
platiai
plurimus
podlussanyi
poggii
pokharanus
politus
pomonae
pomorum
poneli
ponticus
povolnyi
praeustus
preusii
preussi
procerus
productus
propinquus
prosternalis
prothoracicus
prouzai
proximus
przewalskii
przewalskyi
pseudoalburnus
pseudoarctus
pseudopilosus
pseudosulphuripennis
puberulus
puerilis
pulchellus
pulcher
pullatus
pullus
punctatissimus
punctatus
puncticollis
punctipennis
punctolineatus
punctosus
purcharti
purpureus
pusillarius
pygmaeus
pyrenaeus
quadriguttatus
quadrillum
quadrimaculatus
quadrinaevus
quadripustulatus
quadrisignatus
quaranthiacus
querceus
quercicola
quercus
rabusculus
rachifer
radiculosus
rahmei
rainieri
rakuda
rasilus
rawlinsi
rectus
regalis
reissi
reitteri
religiosus
reuteri
reynosae
rhombeus
richterae
riesei
riparius
risillus
rivularius
robustus
rosinae
rossi
rosti
rostovensis
roubali
rougemonti
roznerorum
rubens
rubiginosus
rubripes
rubrotestaceus
rufangulus
ruficeps
ruficollis
ruficruris
rufipalpis
rufipennis
rufipes
rufiventris
rufobasalis
rufolateralis
rufopilosus
rufus
rusenae
russicus
rustamovi
rusticus
ruteri
rutilans
rutilipennis
ruzzieri
rydhi
sabatinelli
sabulicola
sachalinensis
sacheri
sachtleiberi
sacratus
safadensis
saghaliensis
saginatus
sahlbergi
sajanus
sakaryaensis
salebrosus
saltini
salvazai
samai
samedovi
sameki
sanborni
sanguineus
sanguinicollis
sanguinolentus
sapae
saroveci
saudarabicus
saueri
sausai
saxatilis
schaumi
schimmeli
schneebergi
schneideri
schoenmanni
schuberti
schurmanni
schwarzi
scrofa
sculpticollis
sedakovi
sedlaceki
selectus
semelai
semenovi
semirubor
senaci
serenus
sericeum
sericeus
serranoi
serraticornis
serti
shaanxianus
shaanxiensis
shanxiensis
shimianensis
shirenshanensis
siaelandicus
siamensis
sibiricus
sichuanensis
sieboldi
signatus
silicensis
silvanensis
silvaticus
similis
simonae
simoni
sinensis
singgalangus
singgompaensis
singularis
sinuaticollis
sinuatus
siteki
skoupyi
skulei
sladkovi
slavonicus
smetanai
smyrnensis
snizeki
sofiae
solai
songoricus
sordidus
spalatrensis
speciosus
spevari
sphondyloides
spicata
spinosulus
spinosus
splendens
splichali
spretus
sputator
starcki
stegnus
stepanovi
stibicki
stramineipennis
stussineri
subaeneus
subalpinus
subcyaneus
subfasciatus
subfuscus
subligatus
submontanus
subspinosus
subtruncatus
subvirgatus
subvittatus
sulcatoides
sulcatulus
sulcatus
sulcicollis
sulcipennis
sulphuripennis
sundukovi
surjakundensis
suturalis
suvorovi
suzannae
svandai
svihlai
syriacoides
syriacum
syriacus
szalokii
szekelykalmani
tadzhikistanicus
taeniatusius
taitungensis
taiwanensis
talamellii
talyraui
talyschensis
tamargrahensis
tarbinskyi
tartarus
tauricola
tauricus
teheranus
tekkirazicus
telciuensis
tenasserimensis
tenebrosus
tenelloides
tenuicornis
tenuis
tereticollis
terminatus
terskeyensis
tessellatum
testaceus
thalassobates
theseus
thibetanus
thoracicus
tibetanus
tibetis
tibialis
tibiellus
tickyi
tinctus
tokgajevi
tongshanensis
tonkinensis
torrevillasi
triangulum
tribertii
tricolor
tristiculus
tristis
trivialis
trivittatoides
trossulus
turanicus
turcicus
turkestanicus
turkmenicus
turnai
tuvensis
ulcerosus
umbratilis
uncicollis
undulatus
unicolor
unicoloratus
ussuriensis
ustulatus
utschederensis
vagus
vailatii
vaillanti
validus
valtopinensis
variabilis
varians
variatus
varius
vartianorum
vasconiscus
vavrai
venustus
vespertinus
vestigialis
vicinus
victor
villardi
villiger
villosa
villosus
violaceus
virens
virgatus
vittatoides
vittatus
wachtangi
wagneri
warchalowskii
wardi
weishanensis
werneri
wittmeri
wrasei
wrzecionkoi
wulingshanensis
xinjiangensis
yamadai
yamianus
yawuensis
youngi
yulongshanensis
yunnana
yunnanensis
yunnanus
yushiroi
yuzhaigouensis
zaitzevi
zbuzeki
zebei
zebeianus
zenii
zhangtiaoshanus
zhantievi
zhongdianensis
ziegleri
zinovjevi
zurcheri
Lokalita
= Vše =
Palearct
Europe
Central Europe
Oriental
Amerika
Upřesnit+
= Vše =
Typy
Foto v přírodě
Larva
Genitálie
VIRTUÁLNÍ SBÍRKA
předešlý
další
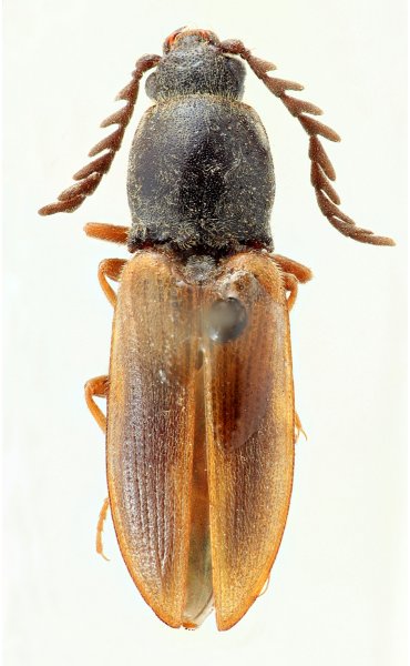
Rod:
Anostirus
Druh:
holtzi
Podčeleď:
Dendrometrinae
Čeleď:
Elateridae
Autor:
(Schwarz, 1902)
Délka těla:
7 mm
Pohlaví:
Rozšíření:
Turkey
Lokalita:
Bulghar Dagh, 3100 m
Určení (determinace):
G. Platia
Sbírka:
SDEI Munchenberg
| © 2004-2026 |
ELATERIDAE.COM
|
Created by b23
|