ELATERIDAE
VYHLEDAT
Čeleď
Podčeleď Rod Druh Lokalita Upřesnit+
VIRTUÁLNÍ SBÍRKA
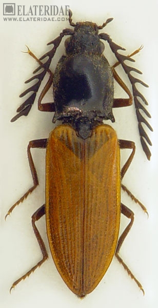
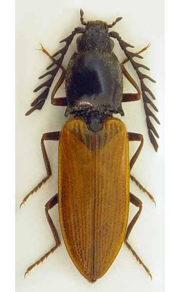
Anostirus nubilosus
předešlý předešlý  další     další
 
Rod: Anostirus
Druh: nubilosus
Podčeleď: Dendrometrinae
Čeleď: Elateridae
Autor: Wurst & Schimmel, 1995
Délka těla: 9 mm 
Pohlaví: samec
Rozšíření: Turkey
Lokalita:
TR - Erzincan, Karakaya Dagi, 21.5.1992, Janata leg.
Určení (determinace): J. Mertlik
Sbírka: J. Mertlik
 
Anostirus nubilosus Anostirus nubilosus
 

TOPlist