ELATERIDAE
VYHLEDAT
Čeleď
Podčeleď Rod Druh Lokalita Upřesnit+
VIRTUÁLNÍ SBÍRKA
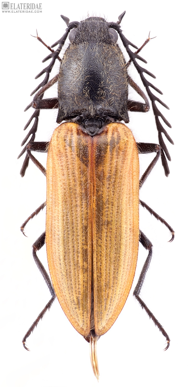
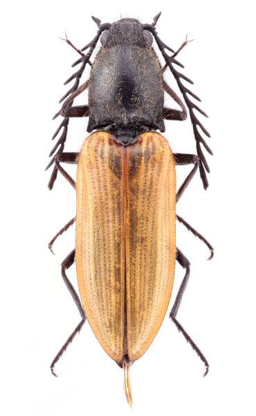
Anostirus stramineipennis
předešlý předešlý  další     další
 
Rod: Anostirus
Druh: stramineipennis
Podčeleď: Dendrometrinae
Čeleď: Elateridae
Autor: Binaghi, 1940
Délka těla: 10,5 mm 
Pohlaví: samec
Rozšíření: Romania
Lokalita:
Romania SW - Mehedinţi, Isverna, Mehedinţi Mts, Vartul lui Stan Mt. 1120-1200m, 1.5.2025, J. Mertlik leg.
Určení (determinace): J. Mertlik
Sbírka: J. Mertlik
 
Anostirus stramineipennis Anostirus stramineipennis Anostirus stramineipennis Anostirus stramineipennis Anostirus stramineipennis Anostirus stramineipennis
Foto v přírodě
 

TOPlist