ELATERIDAE
VYHLEDAT
Čeleď
Podčeleď Rod Druh Lokalita Upřesnit+
VIRTUÁLNÍ SBÍRKA
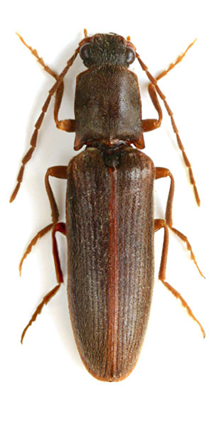
Athous caviformis
předešlý předešlý  další     další
 
Rod: Athous
Druh: caviformis
Podčeleď: Dendrometrinae
Čeleď: Elateridae
Autor: Reitter, 1905
Délka těla:  
Pohlaví: samec
Rozšíření:
Lokalita:
CROATIA – Istra or., Lovranska Draga, 30.V.2002, BOŘIVOJ ZBUZEK LGT.
Určení (determinace): Mertlik
Sbírka: Zbuzek
 
 

TOPlist