ELATERIDAE
VYHLEDAT
Čeleď
Podčeleď Rod Druh Lokalita Upřesnit+
VIRTUÁLNÍ SBÍRKA
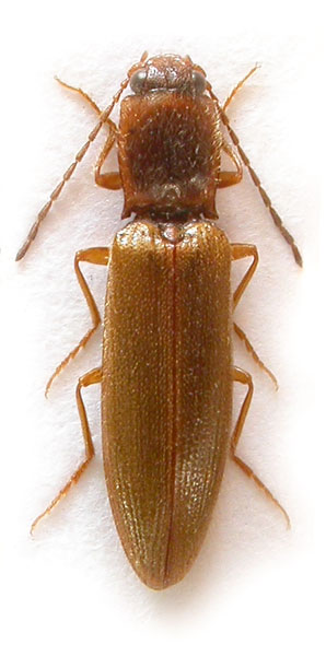
Athous emaciatus
předešlý předešlý  další     další
 
Rod: Athous
Druh: emaciatus
Podčeleď: Dendrometrinae
Čeleď: Elateridae
Autor: Candèze,1860
Délka těla:  
Pohlaví: samec
Rozšíření:
Lokalita:
Italia, Alpi Maritime, Terme di Valdieri, 18.-19.6.1990, Mertlik leg.
Určení (determinace): Mertlik
Sbírka: Dušánek
 
Athous emaciatus Athous emaciatus
 

TOPlist