ELATERIDAE
VYHLEDAT
Čeleď
Podčeleď Rod Druh Lokalita Upřesnit+
VIRTUÁLNÍ SBÍRKA
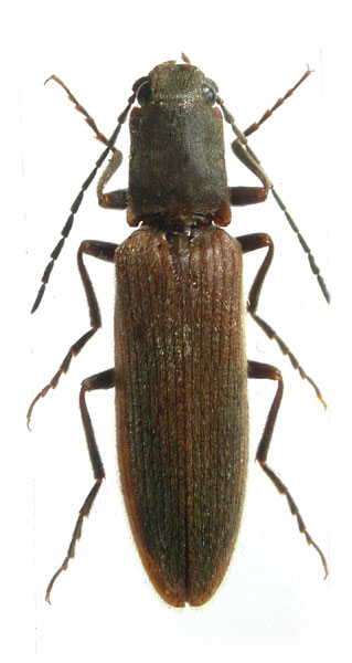
Athous prothoracicus
předešlý předešlý  další     další
 
Rod: Athous
Druh: prothoracicus
Podčeleď: Dendrometrinae
Čeleď: Elateridae
Autor: Platia & Schimmel, 1991
Délka těla: 13 mm 
Pohlaví: samec
Rozšíření:
Lokalita:
Greece, prov. Halkidiki, Polígiros env., Agios Prodromos, 4.6.2008, Dušánek leg.
Určení (determinace): Mertlik
Sbírka: Dušánek
 
Athous prothoracicus Athous prothoracicus
Foto v přírodě
 

TOPlist