ELATERIDAE
VYHLEDAT
Čeleď
Podčeleď Rod Druh Lokalita Upřesnit+
VIRTUÁLNÍ SBÍRKA
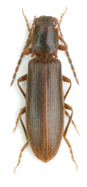
Athous pyrenaeus
předešlý předešlý  další     další
 
Rod: Athous
Druh: pyrenaeus
Podčeleď: Dendrometrinae
Čeleď: Elateridae
Autor: Candèze, 1864
Délka těla: 11,5 mm 
Pohlaví: samec
Rozšíření:
Lokalita:
FRANCE - prov. ARIÈGE , Massif de L´Arize, 7.VI.2004, Tour Laffon (1400m), BOŘIVOJ ZBUZEK LGT.
Určení (determinace): Mertlik
Sbírka: Zbuzek
 
Foto v přírodě
 

TOPlist