ELATERIDAE
VYHLEDAT
Čeleď
Podčeleď Rod Druh Lokalita Upřesnit+
VIRTUÁLNÍ SBÍRKA
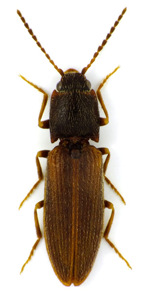
Athous szalokii
předešlý předešlý  další     další
 
Rod: Athous
Druh: szalokii  Type
Podčeleď: Dendrometrinae
Čeleď: Elateridae
Autor: Németh et Platia, 2014
Délka těla: 8,8-9,5 mm 
Pohlaví: samec
Rozšíření:
Lokalita:
CAUCASUS, Georgia, Lagodechi 8.VII.1990, leg. Szalóki
Určení (determinace): Németh et Platia
Sbírka: HNHM Budapest
 
Athous szalokii Athous szalokii
 

TOPlist