ELATERIDAE
VYHLEDAT
Čeleď
Podčeleď Rod Druh Lokalita Upřesnit+
VIRTUÁLNÍ SBÍRKA
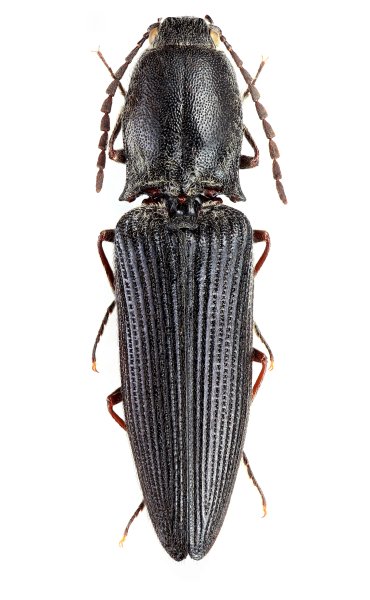
Gnathodicrus similis
předešlý předešlý  další     další
 
Rod: Gnathodicrus
Druh: similis  Type
Podčeleď: Dendrometrinae
Čeleď: Elateridae
Autor: Platia, Mertlik et Dušánek 2023
Délka těla: 13,7-15,8 mm 
Pohlaví: samec
Rozšíření:
Lokalita:
China, Sichuan, Emei-shan, Jingshui env., 1200-1400m, 9.-13.7.1995, Heinz leg.
Určení (determinace): Platia, Mertlik et Dušánek
Sbírka: Platia
 
Genitálie
 

TOPlist