ELATERIDAE
VYHLEDAT
Čeleď
Podčeleď Rod Druh Lokalita Upřesnit+
VIRTUÁLNÍ SBÍRKA
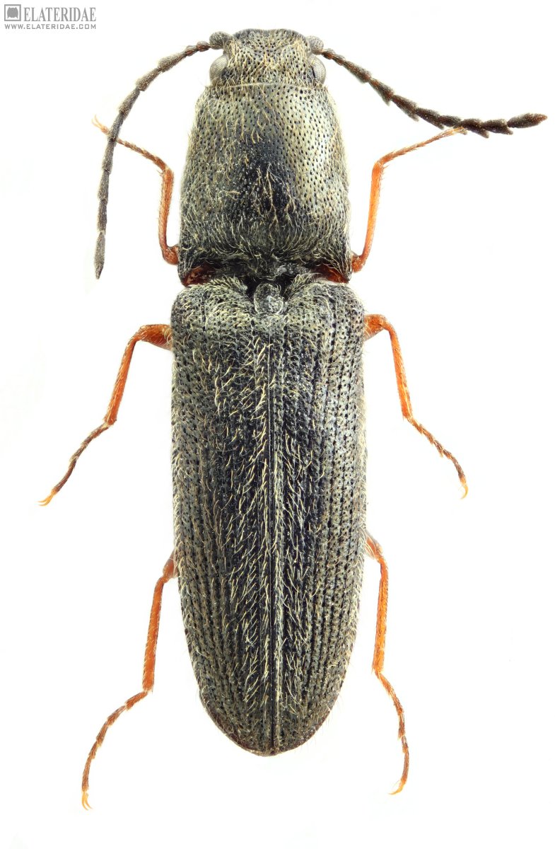
Limonius rufangulus
předešlý předešlý  další     další
 
Rod: Limonius
Druh: rufangulus
Podčeleď: Dendrometrinae
Čeleď: Elateridae
Autor: Platia et Pulvirenti, 2022
Délka těla: 6,3 mm 
Pohlaví: samec
Rozšíření:
Lokalita:
China: (♂) Shaanxi, 15 km NW Lueang, 18-21.VII.2001, E. Kučera
Určení (determinace): Platia
Sbírka: Platia
 
Genitálie
 

TOPlist