ELATERIDAE
VYHLEDAT
Čeleď
Podčeleď Rod Druh Lokalita Upřesnit+
VIRTUÁLNÍ SBÍRKA
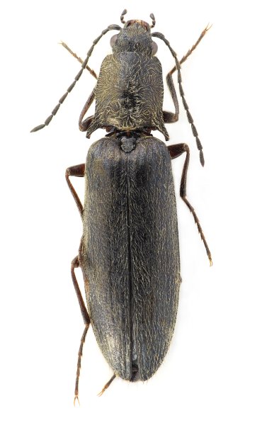
Liotrichus depressicollis
předešlý předešlý  další     další
 
Rod: Liotrichus
Druh: depressicollis  Type
Podčeleď: Dendrometrinae
Čeleď: Elateridae
Autor: Platia, Mertlik & Dušánek, 2025
Délka těla: 9.37-10.6 mm 
Pohlaví: samec
Rozšíření: China
Lokalita:
China: S Sichuan, Chuangdongzi, S Yanyuan (27°20’32”N, 101°32°22’E), m 3900, 16-20.VI.2023, C. Reuter.
Určení (determinace): G. Platia
Sbírka: Collection of Reuter in Berlin (CBR)
 
Genitálie
 

TOPlist