ELATERIDAE
VYHLEDAT
Čeleď
Podčeleď Rod Druh Lokalita Upřesnit+
VIRTUÁLNÍ SBÍRKA
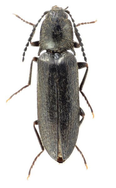
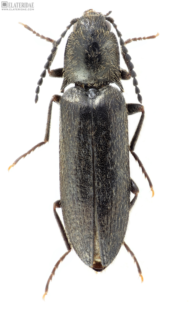
Liotrichus tibetanus
předešlý předešlý  další     další
 
Rod: Liotrichus
Druh: tibetanus  Type
Podčeleď: Dendrometrinae
Čeleď: Elateridae
Autor: Platia, Mertlik & Dušánek, 2025
Délka těla: 9.7 mm 
Pohlaví: samec
Rozšíření: China
Lokalita:
China, East Xizang (Tibet), C-Nyingtri Pref., Serkyimla, m 4650, A. Wrzecionko leg.
Určení (determinace): G. Platia
Sbírka: G. Platia
 
Genitálie
 

TOPlist