ELATERIDAE
VYHLEDAT
Čeleď
Podčeleď Rod Druh Lokalita Upřesnit+
VIRTUÁLNÍ SBÍRKA
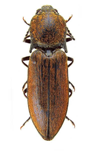
Mosotalesus rufus
předešlý předešlý  další     další
 
Rod: Mosotalesus
Druh: rufus  Type
Podčeleď: Dendrometrinae
Čeleď: Elateridae
Autor: Schimmel, 2015
Délka těla:  
Pohlaví:  
Rozšíření:
Lokalita:
China, Yunnan, Habashan Mts., 6.-11.6.2002, h-3150 - 3500 m., Bečvář et Fouqué leg.
Určení (determinace): Schimmel
Sbírka: Dušánek
 
 

Type
TOPlist