ELATERIDAE
VYHLEDAT
Čeleď
Podčeleď Rod Druh Lokalita Upřesnit+
VIRTUÁLNÍ SBÍRKA
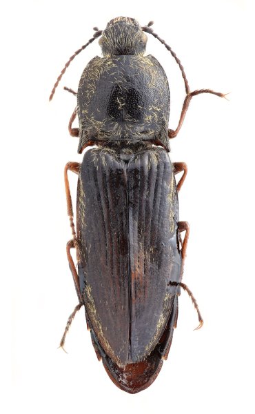
Mosotalesus tibetanus
předešlý předešlý  další     další
 
Rod: Mosotalesus
Druh: tibetanus  Type
Podčeleď: Dendrometrinae
Čeleď: Elateridae
Autor: Platia, Mertlik et Dušánek 2024
Délka těla: 13 mm 
Pohlaví: samec
Rozšíření:
Lokalita:
China: Xizàng (Tibet), Tomi (Tangmai), 30 km W of Donjung, m 2075, 23.VI. 2007, A. Wrzecionko.
Určení (determinace): Platia, Mertlik et Dušánek
Sbírka: Platia
 
Genitálie
 

TOPlist