ELATERIDAE
VYHLEDAT
Čeleď
Podčeleď Rod Druh Lokalita Upřesnit+
VIRTUÁLNÍ SBÍRKA
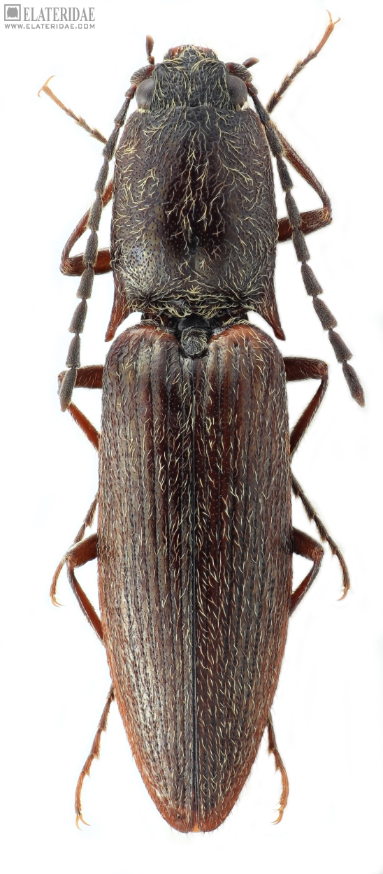
Poemnites guangdongensis
předešlý předešlý  další     další
 
Rod: Poemnites
Druh: guangdongensis  Type
Podčeleď: Dendrometrinae
Čeleď: Elateridae
Autor: Platia, Mertlik & Dušánek, 2025
Délka těla: 11 mm 
Pohlaví: samec
Rozšíření: China
Lokalita:
China: Daqiao env. (24°54’N, 113°01’E), m 1000-1200, 1-3.V.2002, Dr. R. Fencl.
Určení (determinace): Platia, Mertlik & Dušánek
Sbírka: Mertlik
 
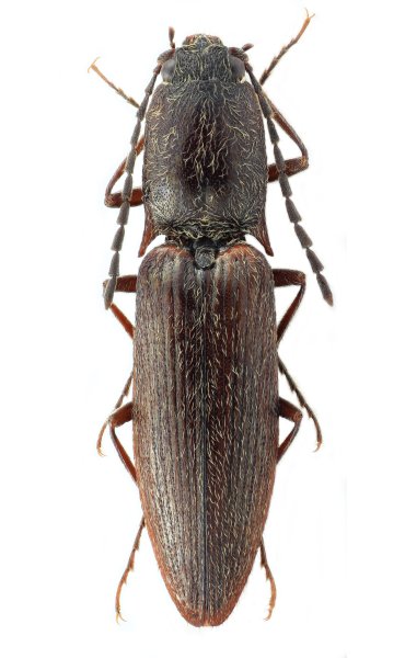
Genitálie
 

TOPlist