ELATERIDAE
VYHLEDAT
Čeleď
Podčeleď Rod Druh Lokalita Upřesnit+
VIRTUÁLNÍ SBÍRKA
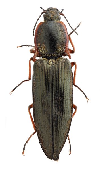
Sinophotistus yunnanensis
předešlý předešlý  další     další
 
Rod: Sinophotistus
Druh: yunnanensis  Type
Podčeleď: Dendrometrinae
Čeleď: Elateridae
Autor: Platia, Mertlik et Dušánek 2024
Délka těla: 16,5 mm 
Pohlaví: samice
Rozšíření:
Lokalita:
China: W Yunnan, NE of Fugong, Nujiang massif (26°57’32”N, 98°56’44”E), m 3440, 14.VI.2017, C. Reuter.
Určení (determinace): Platia, Mertlik et Dušánek
Sbírka: Reuter
 
 

TOPlist