ELATERIDAE
VYHLEDAT
Čeleď
Podčeleď Rod Druh Lokalita Upřesnit+
VIRTUÁLNÍ SBÍRKA
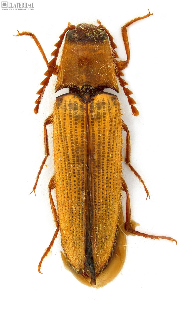
Agonischius insolitus
předešlý předešlý  další     další
 
Rod: Agonischius
Druh: insolitus  Type
Podčeleď: Elaterinae
Čeleď: Elateridae
Autor: Platia, 2008
Délka těla:  
Pohlaví: samec
Rozšíření: Malaysia
Lokalita:
Malaysia, Cameroon Highlands, Tanah Rata, h- 1400m, V. 2000, L. Černý leg.
Určení (determinace): G. Platia
Sbírka: Dušánek
 
Genitálie
 

Type
TOPlist