ELATERIDAE
VYHLEDAT
Čeleď
Podčeleď Rod Druh Lokalita Upřesnit+
VIRTUÁLNÍ SBÍRKA
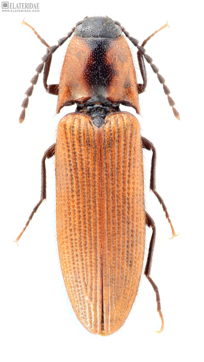
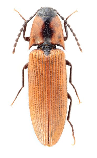
Ampedus baishuiensis
předešlý předešlý  další     další
 
Rod: Ampedus
Druh: baishuiensis  Type
Podčeleď: Elaterinae
Čeleď: Elateridae
Autor: Platia, Mertlik & Dušánek, 2025
Délka těla: 8,7 mm 
Pohlaví: samice
Rozšíření: China
Lokalita:
China: Yunnan, Baishui, 9-14.VII.1995, E. Kučera.
Určení (determinace): Platia, Mertlik & Dušánek
Sbírka: Mertlik
 
Genitálie
 

TOPlist