ELATERIDAE
VYHLEDAT
Čeleď
Podčeleď Rod Druh Lokalita Upřesnit+
VIRTUÁLNÍ SBÍRKA
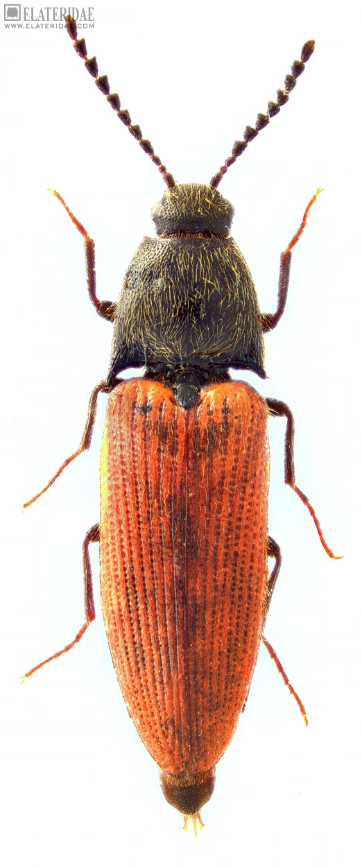
Ampedus percicus
předešlý předešlý  další     další
 
Rod: Ampedus
Druh: percicus
Podčeleď: Elaterinae
Čeleď: Elateridae
Autor: Gurjeva, 1972
Délka těla:  
Pohlaví:  
Rozšíření:
Lokalita:
Iran, Gilan prov., 20 km E of Tutkabon h- 1119 m, Košťál leg.
Určení (determinace): J. Mertlik
Sbírka: Dušánek
 
 

TOPlist