ELATERIDAE
VYHLEDAT
Čeleď
Podčeleď Rod Druh Lokalita Upřesnit+
VIRTUÁLNÍ SBÍRKA
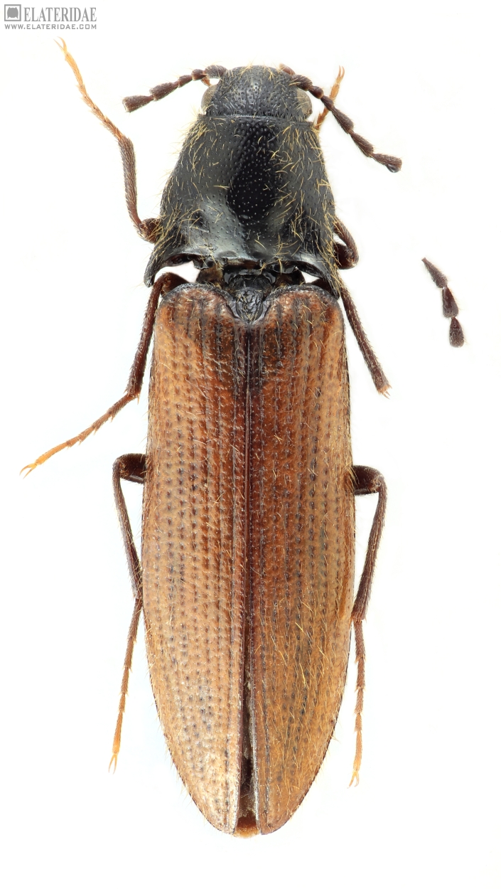
Ampedus reuteri
předešlý předešlý  další     další
 
Rod: Ampedus
Druh: reuteri  Type
Podčeleď: Elaterinae
Čeleď: Elateridae
Autor: Platia, Mertlik & Dušánek, 2025
Délka těla: 8,55 mm 
Pohlaví: samec
Rozšíření: China
Lokalita:
China: W Yunnan, NE of Fugong, Nujiang Massif (26°57’32”N, 98°56’44”E), m 3440, 14.VI.2017, C. Reuter.
Určení (determinace): Platia, Mertlik & Dušánek
Sbírka: C. Reuter
 
Genitálie
 

TOPlist