ELATERIDAE
VYHLEDAT
Čeleď
Podčeleď Rod Druh Lokalita Upřesnit+
VIRTUÁLNÍ SBÍRKA
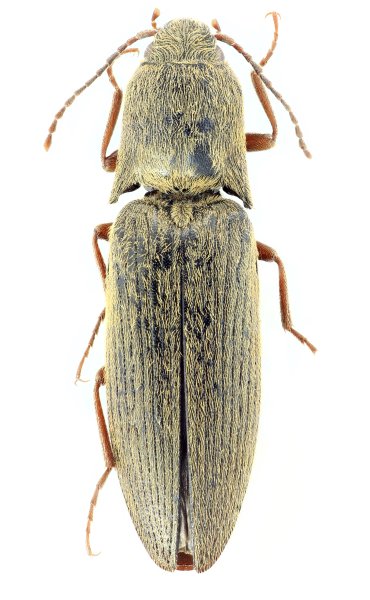
Ectinus biimpressus
předešlý předešlý  další     další
 
Rod: Ectinus
Druh: biimpressus  Type
Podčeleď: Elaterinae
Čeleď: Elateridae
Autor: Platia, Mertlik & Dušánek, 2025
Délka těla: 10,3-10,9 mm 
Pohlaví: samec
Rozšíření: China
Lokalita:
China: N Sichuan, 8 Huanglong Shan, Sanluogou vill. (32°46’05”N, 103°55’25”E), m 2611, 15-17.VI.2018, C. Reuter.
Určení (determinace): Platia, Mertlik & Dušánek
Sbírka: C. Reuter
 
Ectinus biimpressus Ectinus biimpressus
Genitálie
 

TOPlist