ELATERIDAE
VYHLEDAT
Čeleď
Podčeleď Rod Druh Lokalita Upřesnit+
VIRTUÁLNÍ SBÍRKA
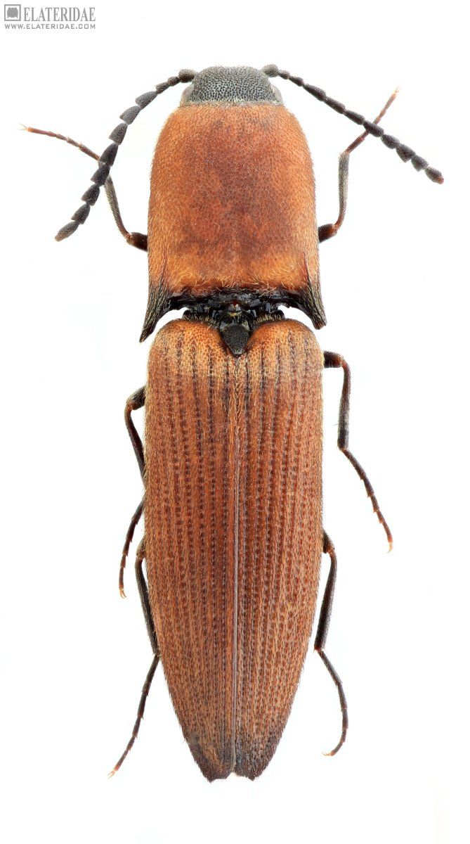
Megapenthes neimongolicus
předešlý předešlý  další     další
 
Rod: Megapenthes
Druh: neimongolicus  Type
Podčeleď: Elaterinae
Čeleď: Elateridae
Autor: Platia, Mertlik et Dušánek 2024
Délka těla: 10,8 mm 
Pohlaví: samice
Rozšíření:
Lokalita:
China: Nei Mongol, Allan Xirel, 19-20.V.2011, E. Kučera.
Určení (determinace): Platia, Mertlik et Dušánek
Sbírka: Mertlik
 
 

TOPlist