ELATERIDAE
VYHLEDAT
Čeleď
Podčeleď Rod Druh Lokalita Upřesnit+
VIRTUÁLNÍ SBÍRKA
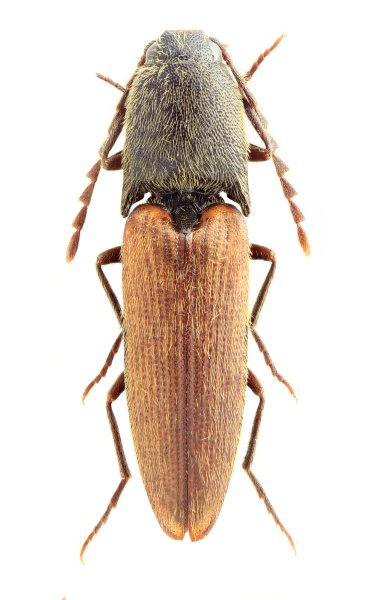
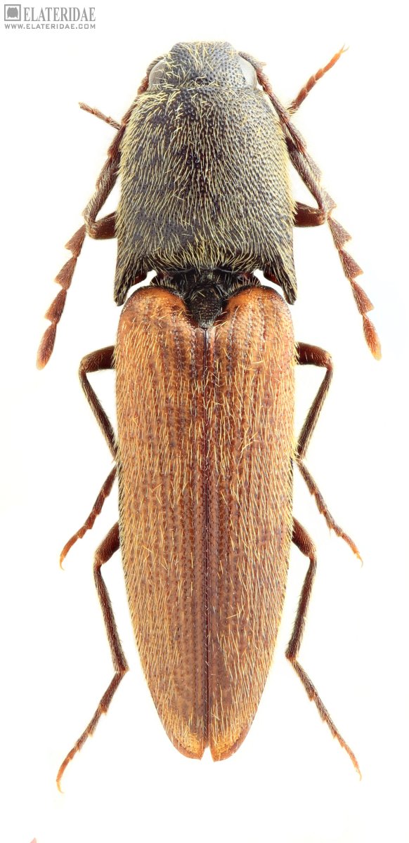
Mulsanteus kucerai
předešlý předešlý  další     další
 
Rod: Mulsanteus
Druh: kucerai  Type
Podčeleď: Elaterinae
Čeleď: Elateridae
Autor: Platia, Mertlik et Dušánek 2024
Délka těla: 10,5 mm 
Pohlaví: samec
Rozšíření:
Lokalita:
China: Yunnan, Li- jiang, 11-15.VI.1995, E. Kučera
Určení (determinace): Platia, Mertlik et Dušánek
Sbírka: Mertlik
 
Genitálie
 

TOPlist