ELATERIDAE
VYHLEDAT
Čeleď
Podčeleď Rod Druh Lokalita Upřesnit+
VIRTUÁLNÍ SBÍRKA
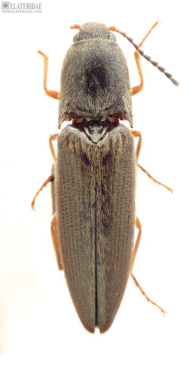
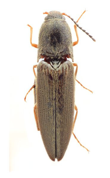
Warchalowskianus taiwanensis
předešlý předešlý  další     další
 
Rod: Warchalowskianus
Druh: taiwanensis  Type
Podčeleď: Elaterinae
Čeleď: Elateridae
Autor: Platia, Mertlik et Dušánek 2024
Délka těla: 9,5 mm 
Pohlaví: samec
Rozšíření:
Lokalita:
Taiwan: Hsinchu County, Neiwan, 9-14.VI.2007, J. Dalihod & J. Dalihodo- va Bastova.
Určení (determinace): Platia, Mertlik et Dušánek
Sbírka: Platia
 
Genitálie
 

TOPlist