ELATERIDAE
VYHLEDAT
Čeleď
Podčeleď Rod Druh Lokalita Upřesnit+
VIRTUÁLNÍ SBÍRKA
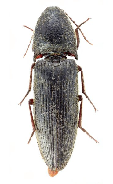
Melanotus grosseri
předešlý předešlý  další     další
 
Rod: Melanotus
Druh: grosseri  Type
Podčeleď: Melanotinae
Čeleď: Elateridae
Autor: Platia, Mertlik & Dušánek, 2025
Délka těla: 16 mm 
Pohlaví: samice
Rozšíření:
Lokalita:
Taiwan: Taitung County, Wulu env. (23°12762N, 121°15394E), m 403, 31.V .2013, W. Grosser.
Určení (determinace): Platia, Mertlik & Dušánek
Sbírka: G. Platia
 
Genitálie
 

TOPlist