ELATERIDAE
VYHLEDAT
Čeleď
Podčeleď Rod Druh Lokalita Upřesnit+
VIRTUÁLNÍ SBÍRKA
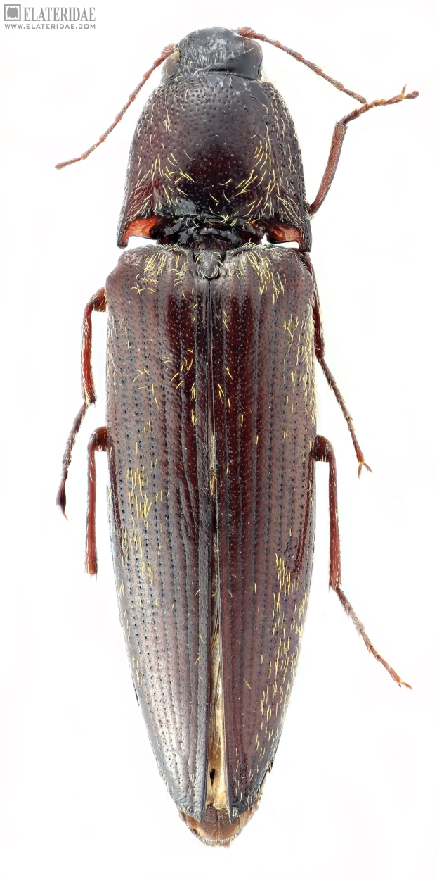
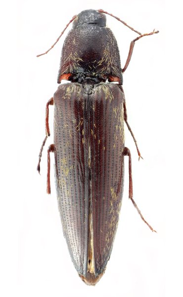
Melanotus spinosulus
předešlý předešlý  další     další
 
Rod: Melanotus
Druh: spinosulus  Type
Podčeleď: Melanotinae
Čeleď: Elateridae
Autor: Platia, Mertlik & Dušánek, 2025
Délka těla: 16 mm 
Pohlaví: samice
Rozšíření:
Lokalita:
China: CW Yunnan, Zizhizhou, Mt. Lingbao Shan, Nanjian-Yizu (26°46’7 N, 100°30’0 E), m 2400, 6-15.VI.2023, C. Reuter.
Určení (determinace): Platia, Mertlik & Dušánek
Sbírka: C. Reuter
 
Genitálie
 

TOPlist