ELATERIDAE
VYHLEDAT
Čeleď
Podčeleď Rod Druh Lokalita Upřesnit+
VIRTUÁLNÍ SBÍRKA
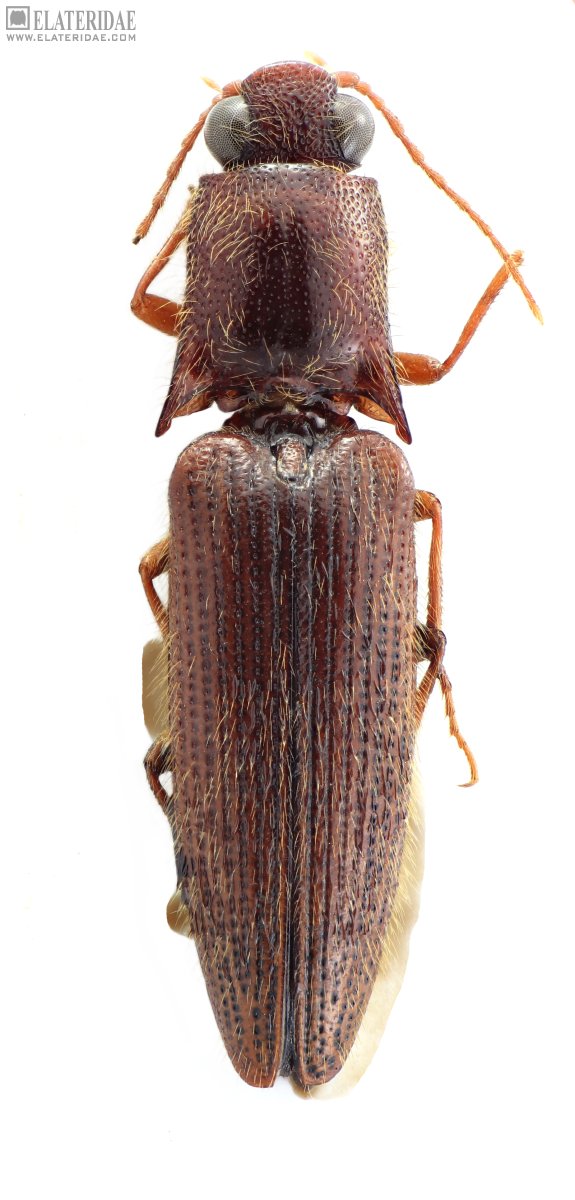
Priopus hongkongensis
předešlý předešlý  další     další
 
Rod: Priopus
Druh: hongkongensis  Type
Podčeleď: Melanotinae
Čeleď: Elateridae
Autor: Platia, Mertlik et Dušánek 2024
Délka těla: 9 mm 
Pohlaví: samec
Rozšíření:
Lokalita:
China: Hong Kong, Tai Po, 1996, G. de Rougemont.
Určení (determinace): Platia, Mertlik et Dušánek
Sbírka: Platia
 
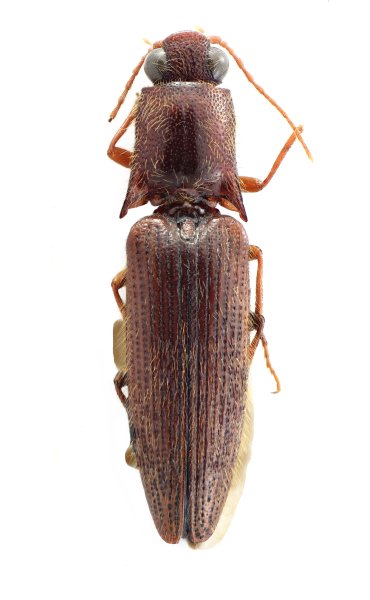
Genitálie
 

TOPlist