ELATERIDAE
VYHLEDAT
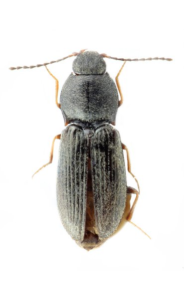
Čeleď
Podčeleď Rod Druh Lokalita Upřesnit+
VIRTUÁLNÍ SBÍRKA
Oedostethus ambiguus
předešlý předešlý  další     další
 
Rod: Oedostethus
Druh: ambiguus
Podčeleď: Negastriinae
Čeleď: Elateridae
Autor: (Buysson, 1914)
Délka těla:  
Pohlaví: samice
Rozšíření:
Lokalita:
China: Gansu prov., S Zhaugye, Guilianshan Mts., Tayo Gou river, Huazhaizi vill., m 2800, 23.VII.1999, I. Belousov & I. Kabak.
Určení (determinace): G. Platia
Sbírka: G. Platia
 
 

TOPlist