ELATERIDAE
VYHLEDAT
Čeleď
Podčeleď Rod Druh Lokalita Upřesnit+
VIRTUÁLNÍ SBÍRKA
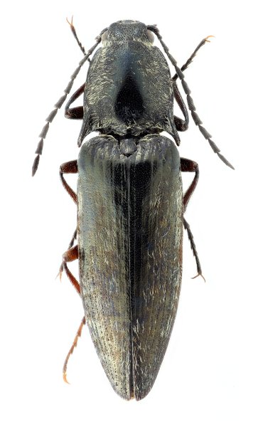
Actenicerus prosternalis
předešlý předešlý  další     další
 
Rod: Actenicerus
Druh: prosternalis  Type
Podčeleď: Dendrometrinae
Čeleď: Elateridae
Autor: Platia, Mertlik & Dušánek, 2025
Délka těla: 13,7 mm 
Pohlaví: samec
Rozšíření: China
Lokalita:
China: Sichuan, NW of Mt Yuanbaoshan, right bank of Lianhegou river, m 3550-3600, 20.VI.2000, Bebusov & Kabak.
Určení (determinace): Platia, Mertlik & Dušánek
Sbírka: G. Platia
 
Genitálie
 

TOPlist