ELATERIDAE
VYHLEDAT
Čeleď
Podčeleď Rod Druh Lokalita Upřesnit+
VIRTUÁLNÍ SBÍRKA
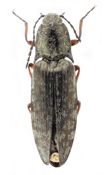
Actenicerus reuteri
předešlý předešlý  další     další
 
Rod: Actenicerus
Druh: reuteri  Type
Podčeleď: Dendrometrinae
Čeleď: Elateridae
Autor: Platia, Mertlik & Dušánek, 2025
Délka těla: 13,7 - 14,8 mm 
Pohlaví: samec
Rozšíření: China
Lokalita:
China: S Sichuan, road 56 km E Xichang-Zhaojue, Mt. Wen Lin Pass (27°52’N, 102°30’E), m 3200, 5-20.VI.2017, C. Reuter.
Určení (determinace): Platia, Mertlik & Dušánek
Sbírka: C. Reuter
 
Actenicerus reuteri Actenicerus reuteri
Genitálie
 

TOPlist