ELATERIDAE
VYHLEDAT
Čeleď
Podčeleď Rod Druh Lokalita Upřesnit+
VIRTUÁLNÍ SBÍRKA
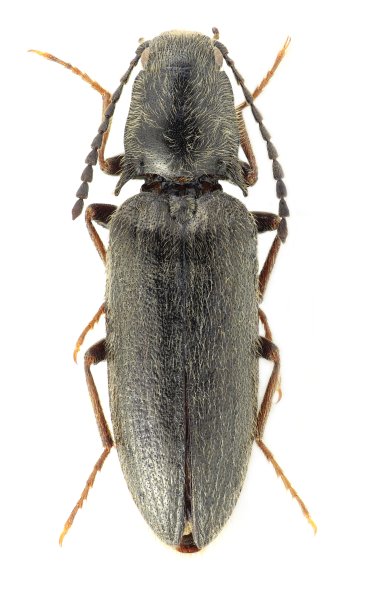
Liotrichus kalabi
předešlý předešlý  další     další
 
Rod: Liotrichus
Druh: kalabi  Type
Podčeleď: Dendrometrinae
Čeleď: Elateridae
Autor: Platia, Mertlik & Dušánek, 2025
Délka těla: 10 mm 
Pohlaví: samec
Rozšíření: China
Lokalita:
China: NW Sichuan, pass 35 km NNE Luhuo (31°43’N, 100°44’E), m 4000, 1- 3.VII.2001, J. Kaláb.
Určení (determinace): Platia, Mertlik & Dušánek
Sbírka: Mertlik
 
Genitálie
 

TOPlist