ELATERIDAE
VYHLEDAT
Čeleď
Podčeleď Rod Druh Lokalita Upřesnit+
VIRTUÁLNÍ SBÍRKA
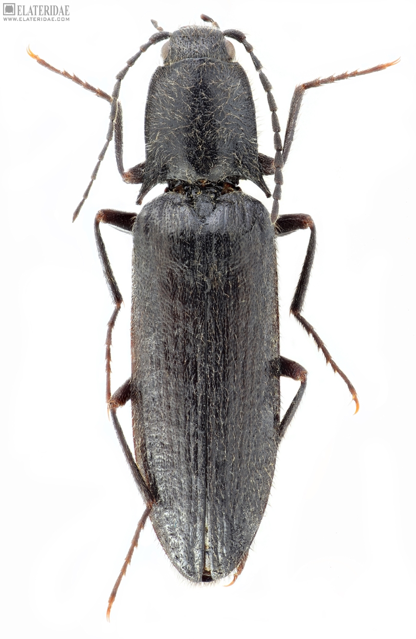
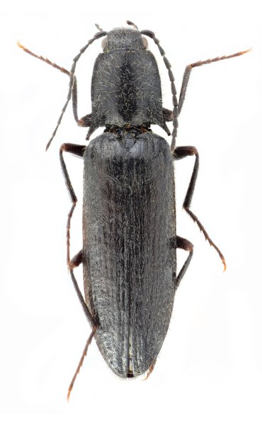
Liotrichus kucerai
předešlý předešlý  další     další
 
Rod: Liotrichus
Druh: kucerai  Type
Podčeleď: Dendrometrinae
Čeleď: Elateridae
Autor: Platia, Mertlik & Dušánek, 2025
Délka těla: 10.6-12.2 mm 
Pohlaví: samec
Rozšíření: China
Lokalita:
China, W Sichuan, Jintiang (Liang-ch-ke), 6-14.VI.2002, E. Kučera leg.
Určení (determinace): G. Platia
Sbírka: Josef Mertlik
 
Genitálie
 

TOPlist