ELATERIDAE
VYHLEDAT
Čeleď
Podčeleď Rod Druh Lokalita Upřesnit+
VIRTUÁLNÍ SBÍRKA
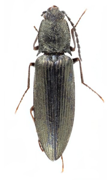
Liotrichus opacicollis
předešlý předešlý  další     další
 
Rod: Liotrichus
Druh: opacicollis  Type
Podčeleď: Dendrometrinae
Čeleď: Elateridae
Autor: Platia, Mertlik & Dušánek, 2025
Délka těla: 11.0 mm 
Pohlaví: samec
Rozšíření: China
Lokalita:
China, Yunnan, Dequen, m 3900, 10-19.VII.1996, E. Kučera
Určení (determinace): G. Platia
Sbírka: Josef Mertlik, Opatovice nad Labem (Czechia)
 
Genitálie
 

TOPlist