ELATERIDAE
VYHLEDAT
Čeleď
Podčeleď Rod Druh Lokalita Upřesnit+
VIRTUÁLNÍ SBÍRKA
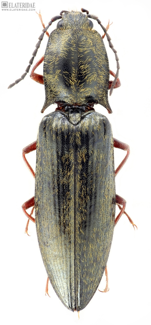
Liotrichus schimmeli
předešlý předešlý  další     další
 
Rod: Liotrichus
Druh: schimmeli  Type
Podčeleď: Dendrometrinae
Čeleď: Elateridae
Autor: Platia, Mertlik & Dušánek, 2025
Délka těla: 17,5 mm 
Pohlaví: samice
Rozšíření: China
Lokalita:
China: Sichuan, Emei Shan, Umg. Recept Point, m 2500, 19.VI.1996, D. Erber.
Určení (determinace): Platia, Mertlik & Dušánek
Sbírka: Mertlik
 
 

TOPlist