ELATERIDAE
VYHLEDAT
Čeleď
Podčeleď Rod Druh Lokalita Upřesnit+
VIRTUÁLNÍ SBÍRKA
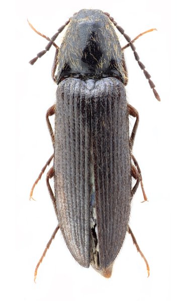
Ampedus davidiani
předešlý předešlý  další     další
 
Rod: Ampedus
Druh: davidiani  Type
Podčeleď: Elaterinae
Čeleď: Elateridae
Autor: Platia, Mertlik & Dušánek, 2025
Délka těla: 7,6 mm 
Pohlaví: samec
Rozšíření: China
Lokalita:
China: Sichuan right bank of Niuzhihe river, E of Pusiun vill., m 2200-2800, 15- 16.VI.2000, G. Davidian.
Určení (determinace): Platia, Mertlik & Dušánek
Sbírka: G. Platia
 
Ampedus davidiani Ampedus davidiani
Genitálie
 

TOPlist