ELATERIDAE
VYHLEDAT
Čeleď
Podčeleď Rod Druh Lokalita Upřesnit+
VIRTUÁLNÍ SBÍRKA
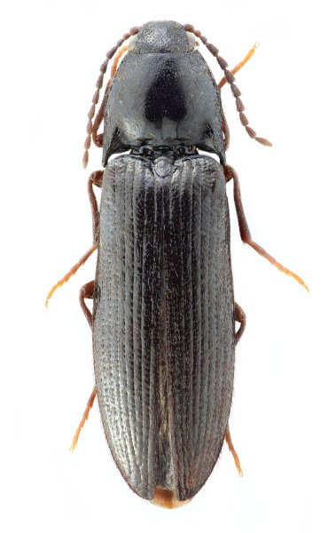
Ampedus davidiani
předešlý předešlý  další     další
 
Rod: Ampedus
Druh: davidiani  Type
Podčeleď: Elaterinae
Čeleď: Elateridae
Autor: Platia, Mertlik & Dušánek, 2025
Délka těla: 7,6 mm 
Pohlaví: samice
Rozšíření:
Lokalita:
Sichuan, NW of Mt. Yuanbaoshan, right bank of Lianhegou river, m 3500-3600, 20.VI.2000, Bebusov & Kabak.
Určení (determinace): Platia, Mertlik & Dušánek
Sbírka: G. Platia
 
Ampedus davidiani Ampedus davidiani
Genitálie
 

TOPlist